Grünland in Werben
Brandenburg, Spree-Neiße
Objektdaten
-
Objekt-Nr.BB71-1800-024326
-
BundeslandBrandenburg
-
KreisSpree-Neiße
-
GemeindeWerben
-
GemarkungWerben
-
ObjektartAcker und Grünland
-
Größe1,1697 ha
-
Orientierungswert (Kauf)nach Gebot
Objektbeschreibung
Wir bieten Ihnen ca. 0,6 ha Grünland mit einer durchschnittlichen Bonität von 39 Bodenpunkten und ca. 0,6 ha Holzungen zum Kauf an. Die Flächen sind ab 01.10.2026 pachtfrei.
Weitere wichtige Informationen finden Sie unter "Erweiterte Objektbeschreibung ...".
Erweiterte Objektbeschreibung
Detaillierte Flurstücksinformationen sowie die Aufteilung der Nutzungsarten entnehmen Sie bitte der zum Download bereitgestellten Flurstücksliste. Die hierauf angegebene Flächenaufteilung erfolgt ausschließlich für Zwecke der Vertragsdurchführung; wegen der tatsächlichen Flächengröße, der jeweiligen Nutzungsart sowie der Bewirtschaftungsmöglichkeiten übernimmt die Verpächterin keine Gewähr.
Das angebotene Objekt ist bis zum 30.09.2026 verpachtet.
Zulässige Nutzung
Die Flächen befinden sich im Außenbereich nach § 35 BauGB.
Besonderheiten
Die Flurstücke befinden sich im Landschaftsschutzgebiet, im Biosphärenreservat sowie im Vogelschutzgebiet.
Grundbucheintragungen
Eigentümerin der Flurstücke ist die BVVG Bodenverwertungs- und -verwaltungs GmbH, Berlin.
Die Abteilungen II und III des Grundbuchs sind lastenfrei.
Die BVVG Bodenverwertungs- und -verwaltungs GmbH stellt die Inhalte dieses Produktblattes mit Sorgfalt zusammen. Alle Angaben erfolgen nach bestem Wissen aber ohne Gewähr. Insbesondere kann die tatsächliche Nutzungsart von der hier angegebenen Nutzungsart abweichen. Die Angaben dienen nur der unverbindlichen allgemeinen Information und ersetzen nicht die individuelle Befassung mit dem Objekt. Zögern Sie nicht, sich mit weitergehenden Fragen an die zuständige Mitarbeiterin der BVVG zu wenden.
Wir weisen darauf hin, dass das ungenehmigte Befahren der Grundstücke nicht gestattet ist.
Stand der Informationen 3/2026
Wir freuen uns auf Ihr Gebot!
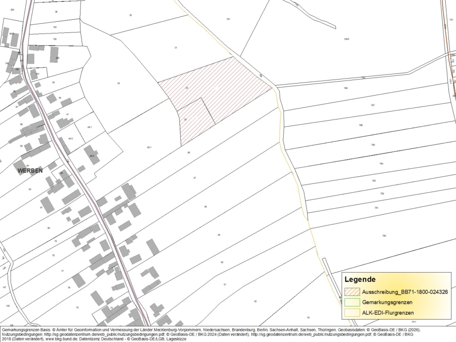
Lage
Werben liegt ca. 10 km nordwestlich von Cottbus. Die Flurstücke befinden sich ca. 1,5 km südlich von Werben, östlich der Brahmower Dorfstraße. Bitte vergleichen Sie dazu auch unsere Bilder zur Lage.
Die dargestellte Position ist nur eine ungefähre Angabe der Lage.
Kontaktdaten
-
NameFrau Daniela Marter
-
FirmaBVVG - Niederlassung Berlin/Brandenburg/Sachsen
-
AdresseSchönhauser Allee 120
10437 Berlin -
Tel. Durchwahl


